У Вінниці планують реконструювати перехрестя поблизу Староміського мосту
11:00 14.02.2022
293

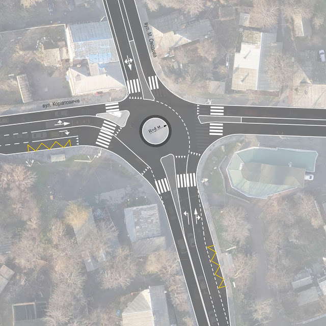
У Вінниці планують реконструювати перехрестя вулиць Князів Коріатовичів і Миколи Оводова. Роботи обійдуться місту в 12,8 млн грн., - про це повідомляє Вінниця.info.

Згідно з тендерною документацією, на ділянці демонтують 15 світлофорів. Нових встановлювати не планують. Однак на перехресті залишать круговий рух для автомобілів, а для пішоходів облаштують "острівці безпеки".

Роботи планують завершити до 30 жовтня 2022 року

Автор: Даша Драгоманова
Читайте також
У Вінниці сталося три пожежі 
Суспільство
вчора, 12:35
У Вінниці сталося три пожежі